إعلان

أول صورة حقيقية للتنين الذي عاش في الأرض قبل 240 مليون سنة

كتب : مصراوي

01:41 م 25/02/2024

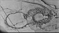
حفرية التنين البحري الصيني

تابعنا على

كشف العلماء عن حفرية مذهلة لتنين بحري قديم اكتشف في الصين، وفقا لتقرير مجلة لايف ساينس.

ينتمي هذا الحيوان البالغ من العمر 240 مليون عام - الملقب بـ "التنين الصيني" - إلى نوع Dinocephalosaurus orientalis، وهو من الزواحف التي استخدمت رقبتها الطويلة بشكل ملحوظ لنصب كمين لفريستها المطمئنة في المياه الضحلة خلال العصر الترياسي (منذ 252 مليون إلى 201 مليون سنة).

عثر على هذا النوع لأول مرة في رواسب الحجر الجيري في جنوب الصين في عام 2003، ونجح العلماء أخيرا في تجميع البقايا معًا لإعادة بناء الجسم الكامل بطول (5 أمتار).

كشف الباحثون عن النتائج الجديدة في دراسة نشرت في 23 فبراير في مجلة علوم الأرض والبيئة.

وقال نيك فريزر، أمين العلوم الطبيعية في متاحف اسكتلندا الوطنية، في بيان: "إنه مثال آخر على عالم العصر الترياسي الغريب والرائع الذي لا يزال يحير علماء الحفريات.. نحن على يقين من أنها ستأسر الخيال في جميع أنحاء العالم بسبب مظهرها المذهل، الذي يذكرنا بالتنين الصيني الأسطوري الطويل الذي يشبه الثعبان".

تكشف الحفرية عن بعض السمات المذهلة لتنين البحر القديم.

تمتد الرقبة بطول 230 سنتيمترا وتحتوي على 32 فقرة منفصلة.

من المحتمل أن الشكل الشبيه بالثعبان لرقبة التنين المفصلية منحه قدرة رائعة على التسلل إلى فريسته. ولا تزال بقايل الأسماك التي التي اصطادها التنين محفوظة داخل بطن وحش البحر.

وقال المؤلف الأول ستيفان سبيكمان، وهو باحث ما بعد الدكتوراه في متحف شتوتجارت للتاريخ الطبيعي: "نأمل أن تساعدنا أبحاثنا المستقبلية على فهم المزيد عن تطور هذه المجموعة من الحيوانات، وخاصة كيفية عمل الرقبة الطويلة". في البيان.

اقرأ أيضا:

معجزات الخالق.. 24 صورة لنباتات تشبه الحيوانات

بالصور.. 12 مخلوقا يتحدون الزمن والكوارث والتطور

20 صورة مذهلة.. تفاصيل ساحرة لا تراها العين

بالصور.. حقيقة الأشجار العجيبة التي تمشي في الغابة

11 صورة مذهلة.. أحذية عمرها أكثر من 9 آلاف سنة بينها 3 من مصر

فيديو قد يعجبك



محتوى مدفوع

إعلان

إعلان